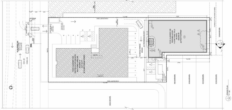
Permits have been issued for new residential construction at 1510 West Allegheny Avenue in Allegheny West, North Philadelphia, where a four-story, 40-unit apartment building is approved as part of a multi-building residential site. The project involves construction of a new rear structure identified as Building B, next to an existing four-story apartment building at the same address. The newly approved building will contain approximately 28,674 square feet of floor area, and will include a partial basement. Harman Deutsch Ohler Architecture is responsible for the designs.
Construction costs for the new building are listed at approximately $3.0 million, which includes $2.95 million attributed to general construction and $50,000 for excavation work.

1510 West Allegheny Avenue Section via Harman Deutsch Ohler Architecture
Zoning records place the site within RSA-2 and RSA-5 zoning districts. The overall lot measures approximately 32,000 square feet and contains two principal residential buildings following approval by the Zoning Board of Adjustment. As configured under the approved zoning plans, the combined development will provide a total of 93 dwelling units, combining 46 existing units within Building A and 40 units within the newly constructed Building B.
Site plans show that Building B will be accompanied by 18 off-street vehicle parking spaces, including four accessible spaces, as well as 14 Class 1A bicycle parking spaces. Vehicular access will be provided from West Allegheny Avenue, with parking and circulation located behind the existing building. No changes to occupied area or height are proposed for the existing structure fronting Allegheny Avenue. Earth disturbance associated with the project totals approximately 7,570 square feet, according to permit filings.
The zoning permit for the project was originally issued in September, 2023, following Zoning Board of Adjustment approval. An administrative amendment approved in February 2025 eliminated the previously proposed roof deck and reduced the number of roof deck access structures to one. The residential building permit authorizing construction of the new apartment building has since been issued. A construction timeline has not been disclosed.
Subscribe to YIMBY’s daily e-mail
![]()
Follow YIMBYgram for real-time photo updates
Like YIMBY on Facebook
Follow YIMBY’s Twitter for the latest in YIMBYnews






As per Google Maps, April 2025, the existing Building A was dilapidated and vacant with disheveled grounds and a surrounding grim chain link fence.
RSA-5 (Residential Single-Family Attached-5) is the most common zoning district in Philadelphia, designed for attached, rowhome-style, single-family dwellings. It strictly regulates residential areas to maintain low-density housing, allowing a maximum building height of 38 feet and requiring a minimum lot width of 16 feet.
Philadelphia’s RSA-2 (Residential Single-Family Attached-2) zoning district is designed for medium-density, attached and semi-detached (twin) houses, typically allowing rowhomes, twins, and some detached houses on individual lots. As-of-right, it allows single-family residential use, with maximum height restrictions often at 38 feet.
Hence the need for zoning variances.
Hope the project allows direct access to Heritage Park Playground.