Pdrmits have been issued for the construction of a three-story mixed-use building with ground-floor retail and four residential units at 1302-06 South Harmony Street in Forgotten Bottom, South Philadelphia. The project replaces vacant property at a consolidated development site at 1302, 1304, and 1306 South Harmony Street, and will span a total of 5,100 square feet. The project team includes MC3 Architects Inc as the designer and SE2 Engineering as the contractor.
The total construction cost is listed at $450,000, which includes $400,000 for general construction and $50,000 allocated to excavation work.

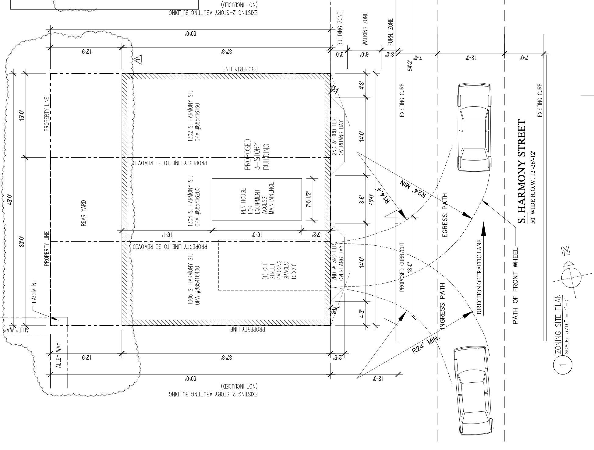
1304 South Harmony Street Plan via MC3 Architects Inc
Retail space will span the first floor and the basement, with residences on the second and third floors. The residential portion is classified as R-2 occupancy. Plans also include an enclosed roof access structure strictly for equipment maintenance, with no occupiable roof deck proposed. One off-street parking space will be provided, accessed via a curb cut along South Harmony Street, triggering review by the Department of Streets as part of the approval process. The building will rise in a CMX-2 zoning district.
Architectural drawings show a contemporary brick facade with vertically organized window bays and second- and third-story overhangs projecting toward the street. The ground level will incorporate a retail storefront and residential entry. The roof will rise below the 38-foot maximum height permitted by zoning, and a parapet wall will conceal rooftop mechanical equipment.
Zoning approvals were issued in stages, including a lot consolidation permit allowing three parcels to merge into one development site, followed by zoning clearance for the mixed-use building and roof access structure. With zoning permits issued and construction permits in place, the development will make for a compact mixed-use addition that brings new housing and neighborhood-scale retail to a previously underutilized stretch of South Harmony Street.
Subscribe to YIMBY’s daily e-mail
![]()
Follow YIMBYgram for real-time photo updates
Like YIMBY on Facebook
Follow YIMBY’s Twitter for the latest in YIMBYnews






There is no evidence of retail space on the front elevation or on the site plan, which is probably good for I can’t imagine what retail enterprise could succeed at this location. Forgotten Bottom is not a “destination” nor is there foot traffic. Indeed, who could walk with the sidewalk littered with parked cars?
Which brings to fore the need for one off-street parking spot in a four unit building. The 14 foot wide garage door is way too large. Even a Chevy Suburban is less than seven feet wide. And a curb cut of 18 feet, removing at least one but possibly two on-street parking spots. At best, a private space usurps a public one.
Take a look a block over at recently constructed ZenGrove Luxury Apartments at 1312-16 Grove St. for a much more attractive, people friendly development.