Permits have been issued for the construction of a new residential building at 45 West Seymour Street in Germantown, Northwest Philadelphia. The project calls for the erection of a three-story semi-detached structure with a basement planned to contain four residential units. Rigorous Contracting is listed as the contractor. Parallel Architecture Studio LLC is responsible for the designs. Property records list Philly Continental Sales LLC as the owner.
Permit filings indicate a total construction cost of $290,000, including approximately $250,000 in general construction costs and $40,000 allocated for excavation work.

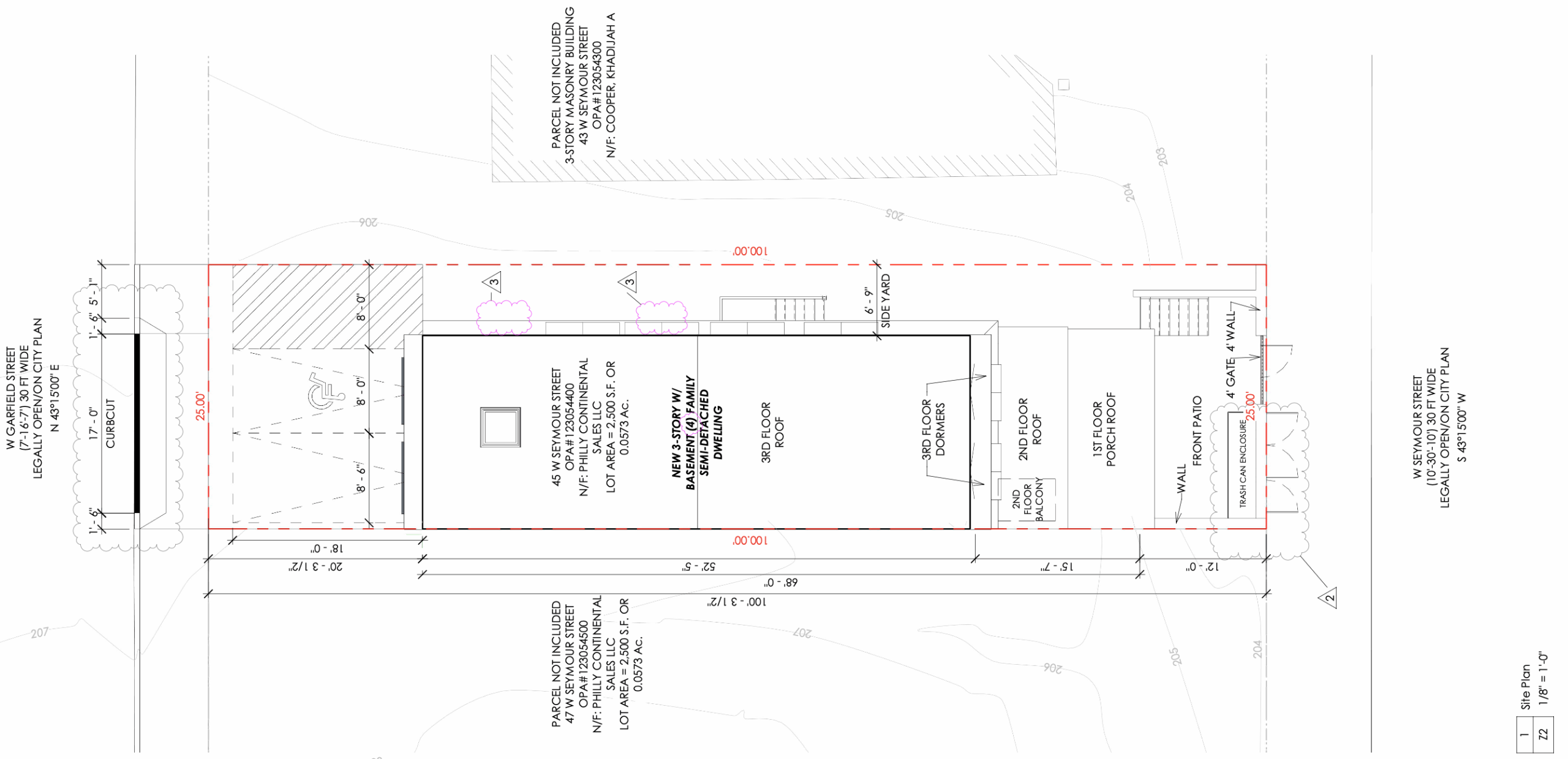
45 West Seymour Street Map via Parallel Architecture Studio

45 West Seymour Street Plan via via Parallel Architecture Studio
The development site measures 2,500 square feet. Plans show a building footprint of approximately 1,246 square feet, leaving roughly 1,254 square feet of open area on the parcel. The project also includes two accessory parking spaces, including one ADA-accessible van space, with vehicle access provided from West Garfield Street at the rear of the property. The building will be classified as Group R-2 residential occupancy.

45 West Seymour Street Side Facade via Parallel Architecture Studio
Architectural elevations indicate the structure will rise to a height of approximately 36 feet 5 inches. The front elevation includes a first-floor porch, a second-floor balcony, and dormer windows at the upper level. The rear of the structure faces West Garfield Street and accommodates the parking area and site access.

45 West Seymour Street Rear Facade via Parallel Architecture Studio
The commercial building permit was issued on March 8, 2026 and authorizes approximately 2,834 square feet of construction area according to permit records. With approvals secured, development at 45 West Seymour Street is permitted to proceed in accordance with the approved plans.

45 West Seymour Street via Parallel Architecture Studio
The site sits alongside adjacent parcels at 47 and 49 West Seymour Street, which share the same ownership and appear positioned for similar residential development on neighboring lots. These related projects will be covered separately as additional permits and plans are reviewed.
Subscribe to YIMBY’s daily e-mail
![]()
Follow YIMBYgram for real-time photo updates
Like YIMBY on Facebook
Follow YIMBY’s Twitter for the latest in YIMBYnews






Be the first to comment on "Permits Issued for Four-Unit Residential Building at 45 West Seymour Street in Germantown, Philadelphia"