Permits have been issued for the construction of a new residential building at 47 West Seymour Street in Germantown, Northwest Philadelphia. The project calls for the erection of a three-story semi-detached structure with a basement containing four residential units. Rigorous Contracting is listed as the contractor. Parallel Architecture Studio LLC is responsible for the architectural design. Property records list Philly Continental Sales LLC as the owner.
Permit filings indicate a total construction cost of $290,000, including approximately $250,000 in general construction costs and $40,000 allocated for excavation work.

47 West Seymour Street Plan via Parallel Architecture Studio LLC

47 West Seymour Street via Parallel Architecture Studio LLC
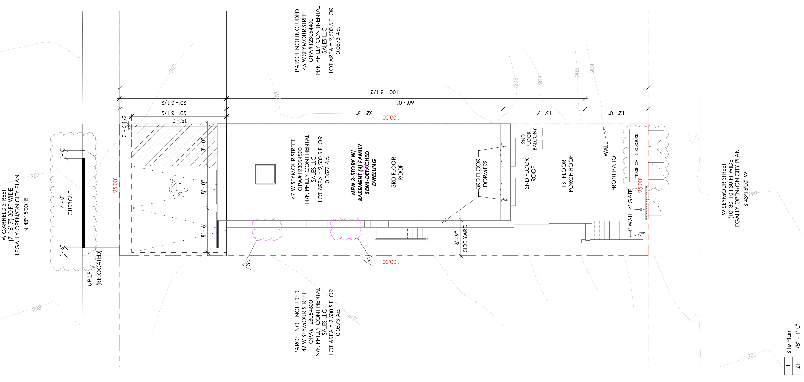
The development site measures approximately 2,500 square feet and is located within the RTA-1 residential zoning district. The approved project will occupy a building footprint of approximately 1,246 square feet, leaving roughly 1,254 square feet of open area on the lot, representing about 50.2 percent of the parcel. Plans indicate a rear yard depth of approximately 20 feet 3.5 inches and a side yard width of roughly 6 feet 9 inches. The structure is designed to rise to a height of approximately 36 feet 5 inches, below the district’s 38-foot maximum height limit.

47 West Seymour Street Side Facade via Parallel Architecture Studio LLC
The project includes two accessory parking spaces located at the rear of the property, including one ADA-accessible van space, with vehicle access provided from West Garfield Street through a proposed curb cut. The building will be classified as Group R-2 residential occupancy.
Architectural plans show a front elevation facing West Seymour Street with a first-floor porch and a second-floor balcony. Dormer windows are incorporated at the third level, while the rear elevation facing West Garfield Street accommodates the parking area and building access. Floor plates step up from a basement level to three residential floors above grade.

47 West Seymour Street Rear Facade via Parallel Architecture Studio LLC
The commercial building permit was issued on March 8, 2026 and authorizes approximately 2,834 square feet of new construction area. Zoning approval was previously granted in February 2025, permitting the development of a four-unit multifamily structure with two accessory parking spaces on the site.
The project is part of a set of related developments planned by the same ownership team along this block of West Seymour Street, including nearby proposals at 45 West Seymour Street and 49 West Seymour Street. Those projects will be covered separately.

47 West Seymour Street Site Map via Parallel Architecture Studio LLC
With zoning and building approvals secured, construction at 47 West Seymour Street is permitted to proceed in accordance with the approved plans.
Subscribe to YIMBY’s daily e-mail
![]()
Follow YIMBYgram for real-time photo updates
Like YIMBY on Facebook
Follow YIMBY’s Twitter for the latest in YIMBYnews






Looks appropriate for the neighborhood, and it’s not a square brick box! Someone gave some thought to the style.
RTA-1 in Philadelphia is a Residential Two-Family Attached district designed for semi-detached, two-family homes, though it also permits attached and detached houses. It is used for low- to moderate-density residential areas, accommodating, for example, twin homes. As of 2025, a new, more permissive RTA-2 district was created for smaller, 1,080 sq. ft. lots, while RTA-1 generally requires 2,250 sq. ft., as for this project.
The Zoning Board of Adjustment undoubtedly granted a variance to build four units in an area zoned for two.
You know what happened at nakedPhilly? There’s no posting the past 3 months.
This the other half of the twin project as 45 West Seymour. Should’ve just report it on the same post.