Permits have been issued for the construction of a three-story single-family residence at 4635 Germantown Avenue in Logan, North Philadelphia. The property is located near West Sylvania Street. The project will rise on a vacant RSA-5-zoned lot and will replace open land with a new attached residential structure. Moto Designshop is the project architects. Spruce Builders LLC is listed as the contractor. Civetta Property Group is the owner.
Permits list construction costs at $125,300.

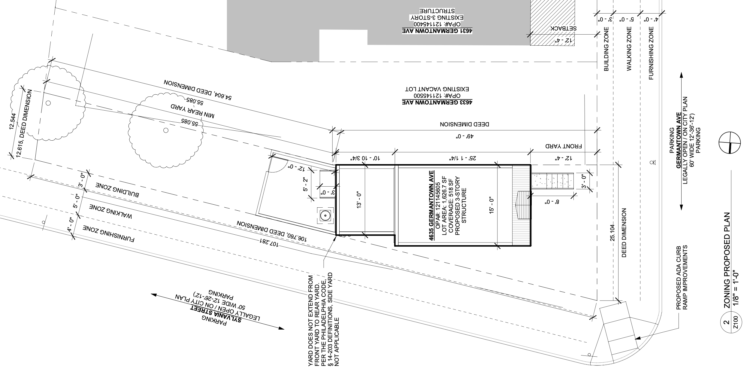
4635 Germantown Avenue Plan via Moto Designshop
The approved building permit calls for the erection of an attached three-story structure for use as single-family household living. The development will span 1,412 square feet of construction area, with 518 square feet at the first floor, 518 square feet at the second floor, and 376 square feet at the third floor. Plans show the new structure occupying 518 square feet of the 1,626.7-square-foot lot, resulting in 31.8 percent lot coverage. The building will sit behind a 12-foot-four-inch front yard and will include a rear yard depth of 55.085 feet. The approved height is shown at 35 feet six-and-one-quarter inches, below the 38-foot maximum listed for the RSA-5 district.

4635 Germantown Avenue Location Map via Moto Designshop
The front elevation shows a narrow three-story facade with a brick-clad lower volume, a mansard roof at the upper level, and a single dormer-style window centered within the roof form. The drawings also show paired windows on the lower floors, a recessed entry, proposed steps and railings, and shallow pilaster-style embellishments projecting one-half inch from the facade.
The project will add one new single-family home along a corridor lined with rowhouse-scale development, vacant parcels, and neighborhood open space. The development is situated within close proximity to Loudoun Park.
Subscribe to YIMBY’s daily e-mail
![]()
Follow YIMBYgram for real-time photo updates
Like YIMBY on Facebook
Follow YIMBY’s Twitter for the latest in YIMBYnews






The zoning elevation is immediately recognizable as a Moto Designshop proposal, which is a good thing. The Moto Designshop, Spruce Builders, Civetta Property Group team is building small, low cost, attractive single family homes all over North Philadelphia.
This corner property fronts three streets — Germantown Ave., E. Sylvania St., and Stenton Ave., potentially allowing for numerous windows and plentiful natural light. The Mansard roof is contextual with other neighborhood houses. The home’s small footprint means large open areas, both front and back.
Twelve foot wide sidewalks on Germantown Ave. and E. Sylvania St. provide an opportunity to plant shade trees. Loudoun Park is just across Germantown Ave.
Check out the vibrant mural at 11 E. Sylvania St. Five children with five eagles overhead brightens the whole block.
“…potentially allowing for numerous windows…”
Typically, the street-facing side walls are windowless. I’m guessing that this house will look like the house on the southwest corner of North Franklin and West Susquehanna, with Royal Crest Double 4 Designer lap siding (or something similar) on the side and rear walls. The new siding is designed to mimic the profile of historic Pattern #105 wood siding.