Permits have been issued for the construction of a three-story single-family residence at 2945 Cecil B. Moore Avenue in Brewerytown, North Philadelphia. Designed by the 24/7 Design Group, the new structure will span 2,890 square feet and will feature a cellar. Catalyst Builders LLC is listed as the contractor.
The total construction cost is reported at $305,000, which includes $225,000 for general construction, $35,000 for excavation, and $15,000 each for mechanical, plumbing, and electrical work. The development is owned by Mason Edward LLC.

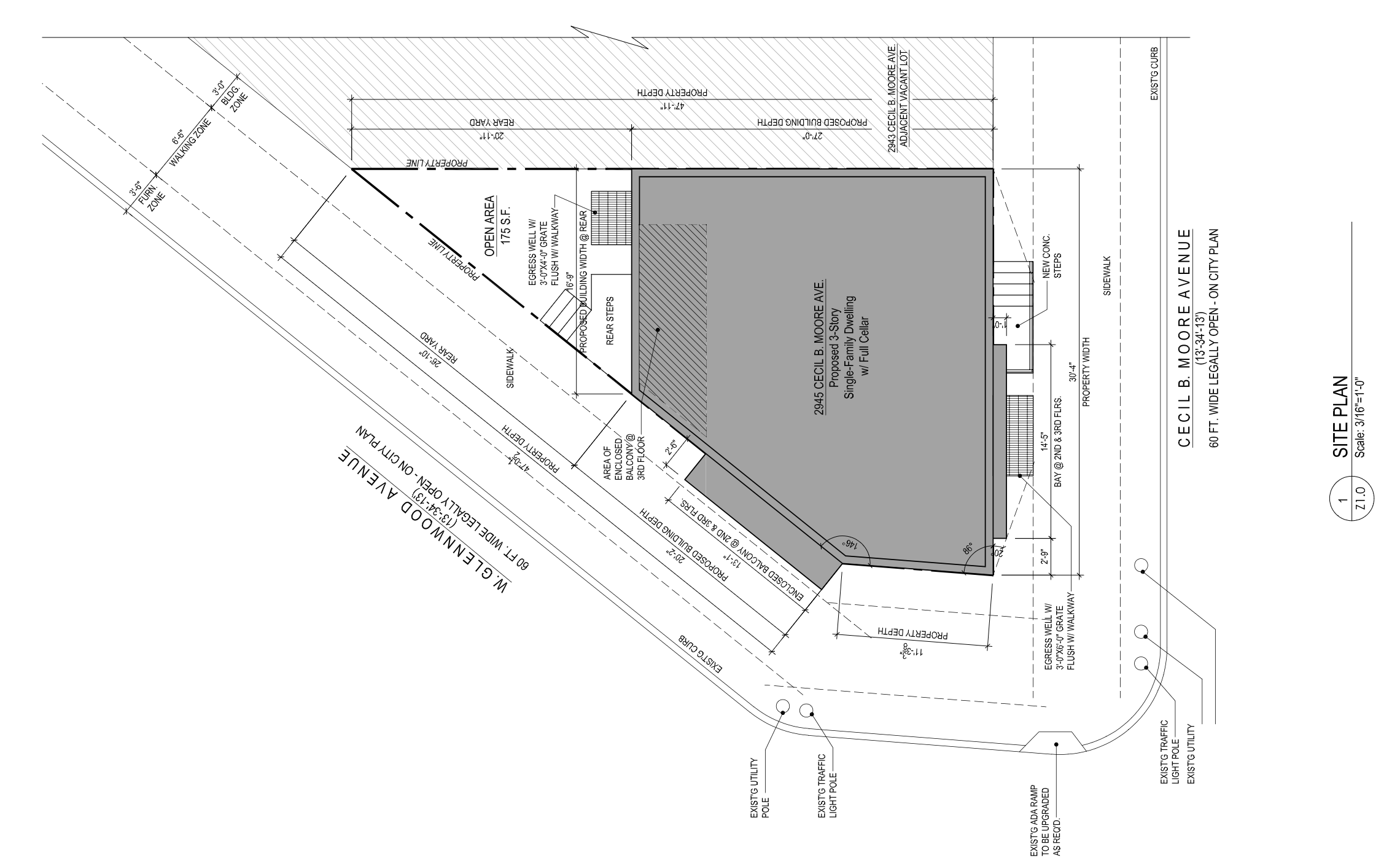
2945 Cecil B Moore Avenue Site Plan via 24/7 Design Group
Construction will utilize Type V-B framing and will be fully sprinklered throughout in accordance with NFPA 13D standards. The plans also note that a sidewalk closure or covered walkway will be required during construction due to proximity to the public right-of-way.
The property is located in the RSA-5 Residential Single-Family Attached zoning district. The lot measures approximately 30 feet wide and extends to 876 square feet in total area. According to the zoning sheet, the building footprint will span 700 square feet, or 80 percent of the lot, with 176 square feet maintained as open area. A rear yard depth of 21 feet is provided, exceeding the minimum nine-foot requirement.
The structure will rise 36 feet to the main roof and 39 feet to the top of the parapet, consistent with the maximum building height limit of 38 feet permitted under RSA-5 regulations.
Prepared plans depict a rectangular, three-story dwelling with a flat roof and substantial street frontage along both Cecil B. Moore Avenue and West Glenwood Avenue, forming a prominent corner parcel. The design features a simple, modern façade composition, with brick cladding at the lower level and a clean vertical wall plane above. The zoning section drawing shows story heights of approximately ten feet per floor, plus an 11-foot parapet level. The site plan includes sidewalk improvements and notes the structure’s corner orientation with dual street exposure, which enhances natural lighting potential and neighborhood visibility.
The site sits near several new infill projects and is positioned along a corridor undergoing active redevelopment.
Subscribe to YIMBY’s daily e-mail
![]()
Follow YIMBYgram for real-time photo updates
Like YIMBY on Facebook
Follow YIMBY’s Twitter for the latest in YIMBYnews






“Prepared plans depict a rectangular, three-story dwelling…”. As the site plan shows, the home hugs both Cecil Moore Ave. and W. Glenwood Ave., creating a five sided structure that better conforms to the street.