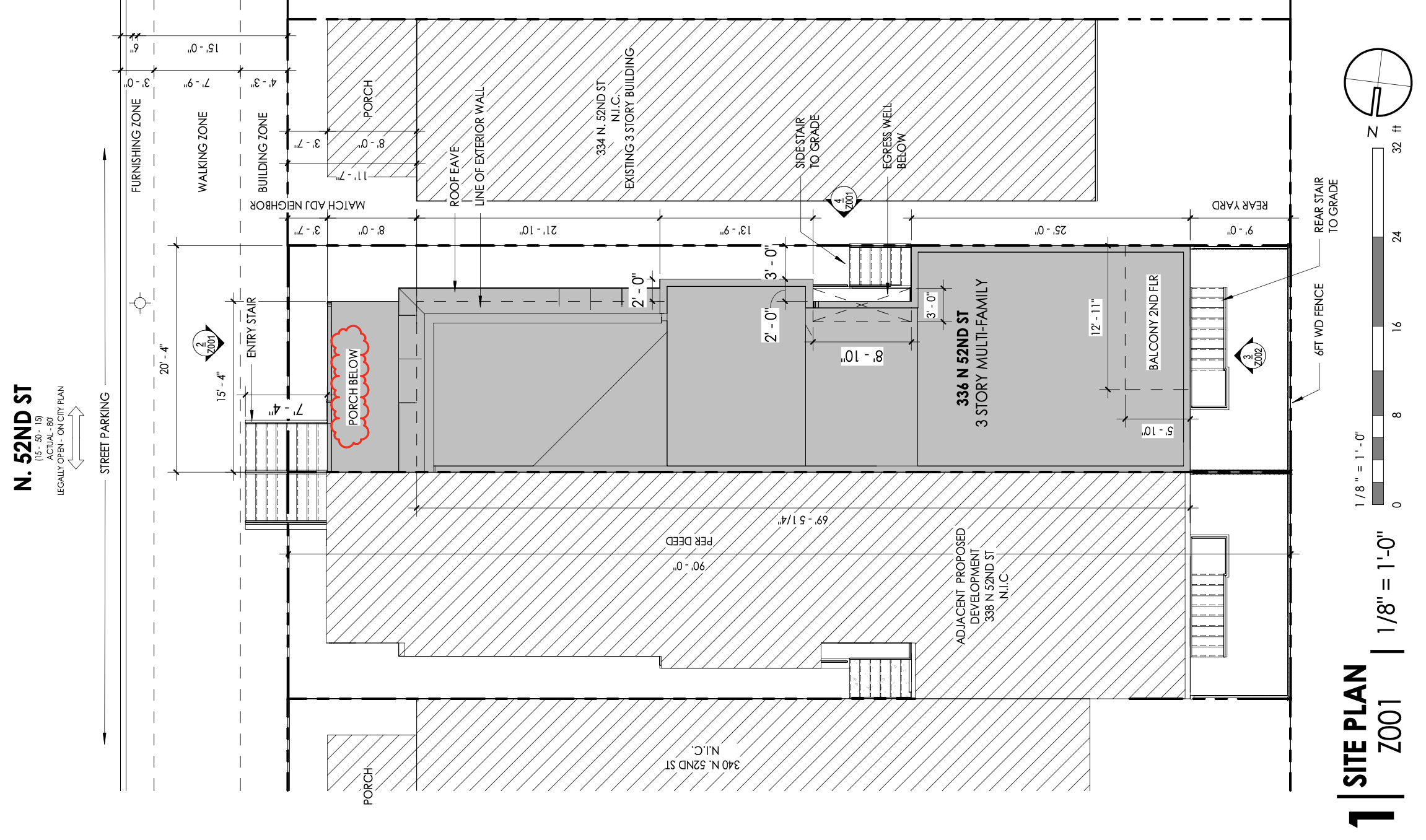
Recently issued permits outline plans for new multi-family residential construction at 336 North 52nd Street in West Philadelphia. The project calls for the erection of a three-story attached residential structure with a full basement on a vacant parcel fronting North 52nd Street. Permit records identify 366-368 North 52nd Street Associates LLC as the property owner. Architectural plans were prepared by Designblendz Architecture LLP, with AIMES LLC listed as the contractor.
Permit records list total construction costs at approximately $275,000, including line items for general construction and excavation work.

336 North 52nd Street Site Plan via Designblendz Architecture
Construction permits describe the development as a four-unit residential building classified as R-2 occupancy. The structure will rise three stories above grade with a full basement level below, and will be fully sprinklered in accordance with NFPA 13 requirements. The approved scope specifies new construction only, with no parking proposed as part of the project.

336 North 52nd Street Side Elevation via Designblendz Architecture
Zoning approvals allow the project to proceed as a three-story attached structure not exceeding 38 feet in height, consistent with dimensional limits for the site. Plans indicate impacts within the public right-of-way related to entry access and site work, prompting Streets Department review, which has been issued.

336 North 52nd Street Rear Elevation via Designblendz Architecture
Architectural drawings depict a vertically organized building mass with a raised ground-floor entry accessed by exterior steps from the sidewalk. The front facade incorporates a combination of masonry and cladding materials, with regularly aligned window openings across all floors. A projecting porch and Juliet-style balcony elements provide modest articulation, while the roofline is capped by a parapet concealing rooftop elements behind it. Rear elevations show additional balcony space and stair access connecting interior levels to outdoor areas.
Separate permits are required for mechanical, electrical, plumbing, and fire suppression systems. A construction timeline has not yet been announced.
Subscribe to YIMBY’s daily e-mail
Follow YIMBYgram for real-time photo updates
Like YIMBY on Facebook
Follow YIMBY’s Twitter for the latest in YIMBYnews






Be the first to comment on "Permits Issued for Multi-Family Housing at 336 North 52nd Street in West Philadelphia"