A three-story, three-unit development is moving forward at 4629 Wayne Avenue in the Germantown neighborhood of Northwest Philadelphia, where permits have been issued for the construction of a 3,244-square-foot semi-detached apartment building. The project, which will replace an existing structure at the site, is owned by Ranya Investment LLC. JTran Expediting is responsible for design work.
Construction costs for the project are listed at $325,000, which includes $300,000 allocated to general construction and $25,000 designated for excavation work.

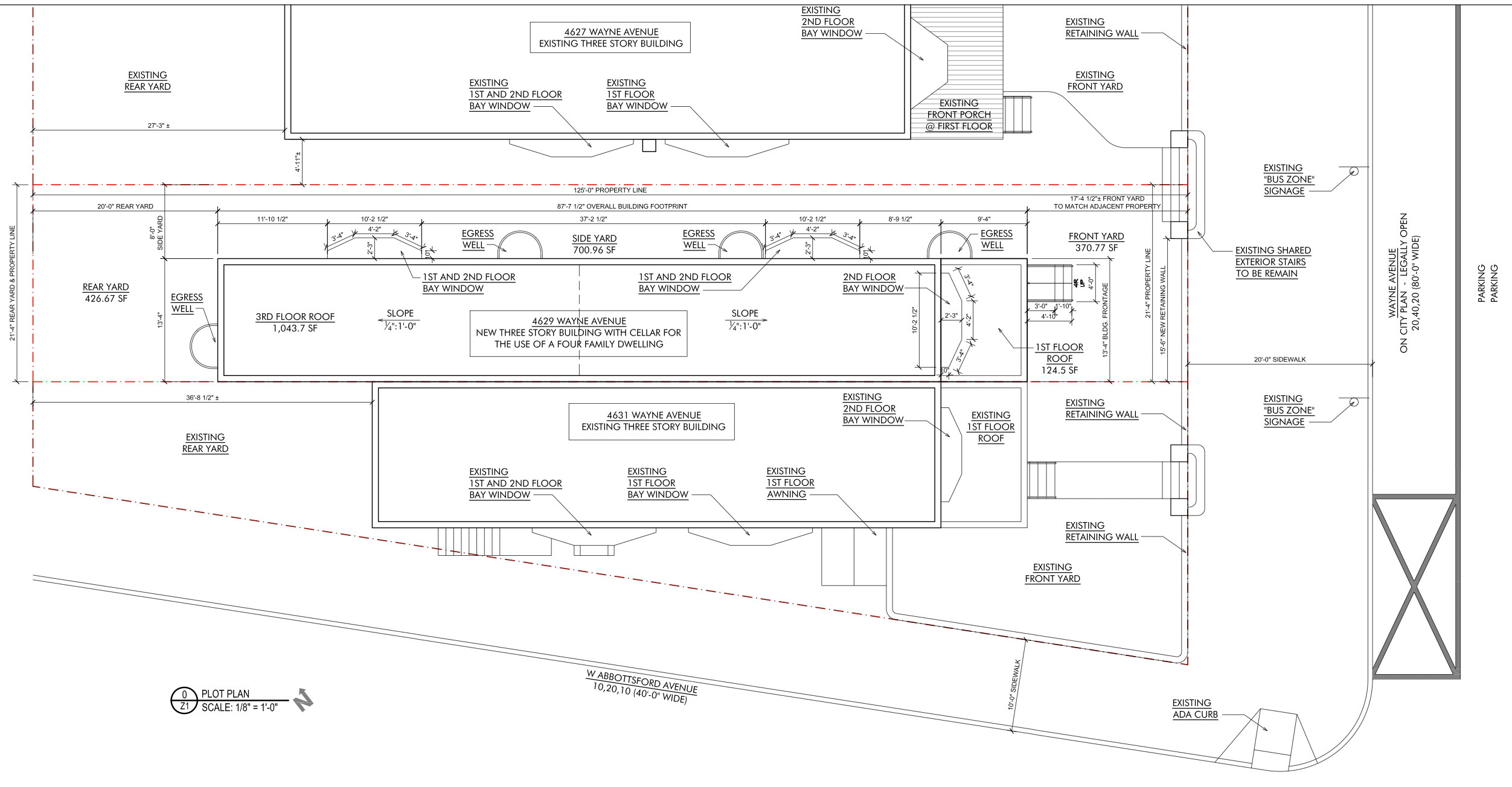
4629 Wayne Avenue Plan via JTran Expediting
According to permit records, the development calls for new construction classified under Group R-2 residential occupancy. The building is planned as Type V-B combustible construction. The total earth disturbance area is listed at approximately 1,206 square feet. The structure will include a cellar level and will not include on-site parking.
Architectural plans depict a narrow building designed to align with the surrounding rowhouse context along Wayne Avenue. The front elevation shows a masonry façade with a clearly defined base and upper levels, articulated via regularly spaced window openings. The building will rise approximately 37 feet high, below the district’s 38-foot maximum. The design incorporates a flat roof with a parapet, a recessed side yard, and a new retaining wall at the front to match adjacent properties.
With zoning and construction permits in place, the development at 4629 Wayne Avenue advances a modest residential project that will contribute new residential density to the Germantown neighborhood.
Subscribe to YIMBY’s daily e-mail
![]()
Follow YIMBYgram for real-time photo updates
Like YIMBY on Facebook
Follow YIMBY’s Twitter for the latest in YIMBYnews






Be the first to comment on "Permits Issued for Three-Unit Residential Development at 4629 Wayne Avenue in Germantown, Northwest Philadelphia"