A permit has been issued for the construction of a three-story single-family townhouse at 4487 Boone Street in the Manayunk neighborhood of Northwest Philadelphia. The semi-detached structure, which comprises half of Green Lane Development, a planned two-building complex, will be constructed upon a currently vacant lot sited at the eastern side of the block between Carson Street and Green Lane. The new structure will span 2,297 square feet and will feature a roof deck. The development team includes Studio C Architecture as the designer, Paul Lonie as the land surveyor, and Andy Mulson as the contractor.
Development construction costs are indicated at $445,000, which translates into around $194 per proposed interior square foot and includes $350,000 for general construction work, $15,000 for electrical work, $20,000 for mechanical work, $30,000 for plumbing work, and $30,000 for excavation work.

4487 Boone Street, Philadelphia. Proposed building rendering. Credit: Studio C Architecture

4487 Boone Street, Philadelphia. Project map. Credit: Studio C Architecture via the Planning Department of the City of Philadelphia

4487 Boone Street, Philadelphia. Proposed site plan. Credit: Studio C Architecture via the Planning Department of the City of Philadelphia

4487 Boone Street, Philadelphia. Site survey plan. Credit: Studio C Architecture via the Planning Department of the City of Philadelphia

4487 Boone Street, Philadelphia. Site survey plan legend. Credit: Studio C Architecture via the Planning Department of the City of Philadelphia

4487 Boone Street, Philadelphia. Proposed building section. Credit: Studio C Architecture via the Planning Department of the City of Philadelphia
The semi-detached structure will share its northern party wall with a nearly identical (mirrored) counterpart at 4489 Boone Street. The structure, proposed for a sloped site in hilly Northwest Philly at an elevation of around 180 feet above sea level, will rise approximately 33 feet high to the main roof. Floor-to-floor slab heights will measure ten feet and a low-ceiled crawl space will be situated beneath the structure.
Contextual to the predominantly prewar rowhouse neighborhood, the exterior will be clad in attractive red-brown brick, with a large-block masonry-styled base, a raised front stoop, and black accents at the front door surround, sash window frames, and a restrained yet attractively articulated cornice above the second floor. Above the cornice, the third floor will be set back from the street by eight feet, fronted by what the zoning submission blueprints curiously classify as an “unoccupied roof deck.”
Route 32 and 35 buses run within close proximity. The Manayunk station on the SEPTA regional rail sits within a nine-minute walk to the southwest, adjacent to the retail and dining district along the picturesque Schuylkill Canal promenade.

4487 Boone Street, Philadelphia. Zoning table. Credit: Studio C Architecture via the Planning Department of the City of Philadelphia

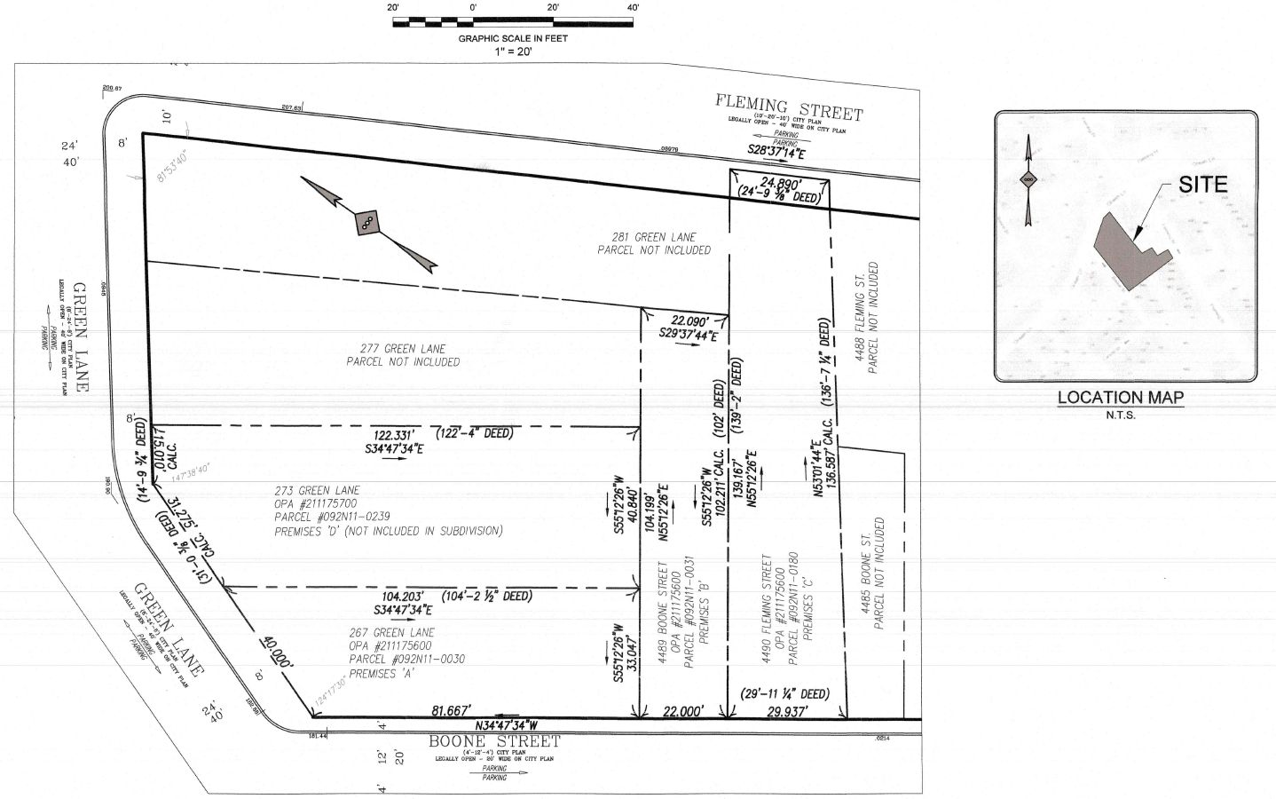
4487 Boone Street, Philadelphia. Site deed plan. Credit: Studio C Architecture via the Planning Department of the City of Philadelphia

4487 Boone Street, Philadelphia. Zoning table. Credit: Studio C Architecture via the Planning Department of the City of Philadelphia
Subscribe to YIMBY’s daily e-mail
![]()
Follow YIMBYgram for real-time photo updates
Like YIMBY on Facebook
Follow YIMBY’s Twitter for the latest in YIMBYnews






Be the first to comment on "Construction Permits Issued for Single-Family Townhouse at 4487 Boone Street in Manayunk, Northwest Philadelphia"